Власти Китая остановили работы по редактированию генов эмбрионов человека Ученый Хэ Цзянькуй утверждал, что ему удалось изменить ДНК близнецов, сделав их невосприимчивыми к ВИЧ 29 Ноя., 2018, 22:01 Наука Китай наука
Генетики предсказывают IQ будущего ребенка Генетический тест позволит родителям, планирующим завести ребенка с помощью ЭКО, заранее отбраковать эмбрионы с низким IQ 29 Ноя., 2018, 10:15 Наука наука Дети
В Китае родились первые в мире генетически измененные близнецы У двух девочек теперь есть иммунитет к ВИЧ 27 Ноя., 2018, 12:05 Наука Китай
Российские ученые создали композитные протезы для сухожилий Этот материал не будет вызывать воспаление и раздражение 23 Ноя., 2018, 22:16 Наука наука Россия
Углекислый газ в атмосфере достиг критических объёмов Парниковые газы являются основным «двигателем» глобального потепления 22 Ноя., 2018, 22:01 Наука Экология
Почему тает Антарктида? Ученые обнаружили скрытый геотермальный источник тепла 21 Ноя., 2018, 22:24 Наука наука
Российская миссия высадится на Луне не раньше 2030 года Российская миссия высадится на Луне не раньше 2030 года 19 Ноя., 2018, 22:15 Наука Россия космос
Экологи 4 стран озаботились проблемами Днестра На конференции в ПГУ говорили о биоразнообразии и факторах, влияющих на экосистемы бассейна реки 19 Ноя., 2018, 21:24 Наука Днестр Экология
Популяцию диких тигров в Азии можно увеличить на 15% Эксперты Всемирного фонда дикой природы считают, что необходимо принять решительные меры для сохранения этих животных 18 Ноя., 2018, 22:00 Наука природа Животные
Американские ВМС снижают активность в Атлантическом океане из-за угрозы китам Численность северных гладких китов сокращается, и учёные не могут этому противостоять 17 Ноя., 2018, 22:01 Наука США
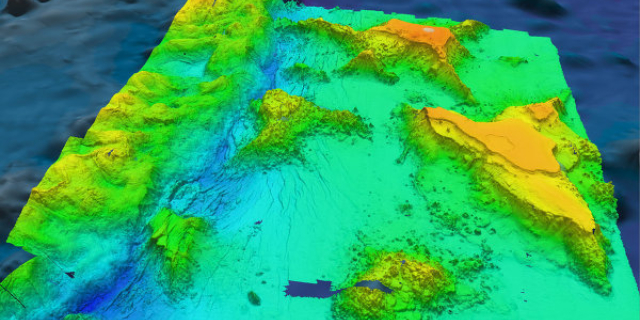
Ученые раскрыли геологические секреты дна Марианской впадины Их исследования были опубликованы в журнале Nature 15 Ноя., 2018, 22:16 Наука наука океан
Подо льдом Антарктики обнаружены остатки древних континентов Установлено, что некоторые области Восточной Антарктиды связаны с древним суперконтинентом Гондваной 14 Ноя., 2018, 22:01 Наука наука
Учёные могут заменить эталонный килограмм его электронным эквивалентом Масса «электронного» килограмма пропорциональна произведению тока и напряжения 14 Ноя., 2018, 10:02 Наука наука
Психологи: Instagram опасен для здоровья В результате исследования выяснилось, что одиночество и депрессия напрямую зависят от времени, проведенного в соцсетях 11 Ноя., 2018, 22:12 Наука психолог
«1918 год в судьбах Приднестровья и мира» - о Первой мировой, союзниках-перевертышах и обороне Бендер В Приднестровском госуниверситете прошла конференция к 100-летию окончания Первой мировой войны 09 Ноя., 2018, 18:28 Наука История
В Приднестровье презентовали книгу «Бендерская крепость. Живой символ истории» Издание подготовлено МИД совместно с Историческим военно-мемориальным комплексом по поручению Президента ПМР и носит научно-популярный характер 08 Ноя., 2018, 17:04 Наука Бендерская крепость История
Билл Гейтс показал туалет, функционирующий без воды Новый туалет с помощью химикатов перерабатывает отходы в удобрения 07 Ноя., 2018, 22:12 Наука наука
Ученые создали «солнечное топливо» Шведские физики разработали жидкость, способную поглощать солнечную энергию 06 Ноя., 2018, 17:30 Наука наука Энергетика
Названы продукты, замедляющие старение Среди них чай, кофе, вино и шоколад 04 Ноя., 2018, 22:15 Наука наука
Останки ранее не известного науке динозавра нашли в Аргентине Он жил около 110 миллионов лет назад и получил название Lavocatisaurus agrioensis 04 Ноя., 2018, 09:09 Наука Аргентина наука